Accessibility links

Breaking News
USA

Hurricane Laura Menaces US Gulf Coast as Powerful Category 4

update

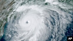
This GOES-16 GeoColor satellite image taken August 26, 2020, at 4:50 p.m. EDT, and provided by NOAA, shows Hurricane Laura over the Gulf of Mexico.
This GOES-16 GeoColor satellite image taken August 26, 2020, at 4:50 p.m. EDT, and provided by NOAA, shows Hurricane Laura over the Gulf of Mexico.

Forecasters are calling Hurricane Laura an extremely dangerous and catastrophic storm and say the storm surge along the U.S. Gulf Coast will be “unsurvivable.”

Laura is expected to slam into the coast late Wednesday or early Thursday as a powerful Category 4 storm, with top sustained winds of 230 kilometers per hour.

Hurricane warnings are out along a 446-kilometer stretch between San Luis Pass, Texas, to Intracoastal City, Louisiana.

A Cameron Parish Sheriff's deputy wipes his face as he stands at a roadblock in the rain on LA 27 while residents evacuate Cameron in Lake Charles, Louisiana, August 26, 2020, ahead of Hurricane Laura.
A Cameron Parish Sheriff's deputy wipes his face as he stands at a roadblock in the rain on LA 27 while residents evacuate Cameron in Lake Charles, Louisiana, August 26, 2020, ahead of Hurricane Laura.

Officials say heavy rain and fierce winds are expected, but the biggest danger is from the expected 7-meter-high storm surge, which could leave entire towns underwater and bring floods and power outages farther inland, and conditions could last for days.

More than 500,000 coastal residents of Texas and Louisiana have been ordered to evacuate. Louisiana Gov. John Bel Edwards has deployed the National Guard to pick up families who are unable to leave on their own.

“Heed the advice of your local authorities. If they tell you to go, go! Your life depends on it today,” said Joel Cline, tropical program coordinator at the National Weather Service. “It’s a serious day, and you need to listen to them.”

Lake Charles Fire Department personnel Alvin Taylor, right, and Jeremy Harris, left, assist Tim Williams into a transport van as he evacuates Lake Charles, La., Aug. 26, 2020, ahead of Hurricane Laura.
Lake Charles Fire Department personnel Alvin Taylor, right, and Jeremy Harris, left, assist Tim Williams into a transport van as he evacuates Lake Charles, La., Aug. 26, 2020, ahead of Hurricane Laura.

President Donald Trump is also urging people to evacuate and says federal help is standing by.

“Hurricane Laura is a very dangerous and rapidly intensifying hurricane. My Administration remains fully engaged with state & local emergency managers to continue preparing and assisting the great people of Texas, Louisiana, and Arkansas. Listen to local officials. We are with you,” he tweeted Wednesday.

Laura is predicted to soak parts of the South with massive rainfall as it moves inland and weakens.

But forecasters say it could strengthen back to a tropical storm as it moves into the warm Atlantic by early next week and threaten the northeast.

Laura killed 24 people in the Dominican Republic and Haiti when it struck there as a tropical storm earlier this week.

Explainer: What Is a Hurricane?
please wait

No media source currently available

0:00 0:01:23 0:00

  • 16x9 Image

    VOA News

    The Voice of America provides news and information in more than 40 languages to an estimated weekly audience of over 326 million people. Stories with the VOA News byline are the work of multiple VOA journalists and may contain information from wire service reports.

XS
SM
MD
LG