Accessibility links

Breaking News
USA

Super Typhoon Yutu Hits Northern Marianas


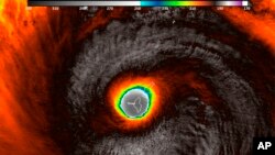
This false-color satellite image provided by the National Oceanic and Atmospheric Administration (NOAA) shows the moment the eye of Super Typhoon Yutu passed over Tinian, one of three main islands in the U.S. Commonwealth of the Northern Mariana Islands, producing damaging winds and high surf Oct. 24, 2018.
This false-color satellite image provided by the National Oceanic and Atmospheric Administration (NOAA) shows the moment the eye of Super Typhoon Yutu passed over Tinian, one of three main islands in the U.S. Commonwealth of the Northern Mariana Islands, producing damaging winds and high surf Oct. 24, 2018.

As Super Typhoon Yutu crossed over the U.S. Commonwealth of the Northern Mariana Islands, the walls shook in Glen Hunter's concrete home, a tin roof over the garage blew away and howling winds terrified his cats.

"At its peak, it felt like many trains running constant," Hunter, of Saipan, wrote in a Facebook message to The Associated Press. "As its peak, the wind was constant and the sound horrifying."

Maximum sustained winds of 180 mph (290 kph) were recorded around the eye of the storm, which passed over Tinian and Saipan early Thursday local time, the National Weather Service said.

On Wednesday night, the weather service in Guam issued dire warnings of possible destruction of homes and other buildings. "Collapse of some residential structures will put lives at risk," the update said. "Airborne debris will cause extensive damage."

The update warned of falling glass from blown-out windows, electricity and water outages for days or weeks after the storm passes and fallen trees isolating residents.

"Gonna be quite a scene when the sun comes up," Hunter wrote to the AP early Thursday.

Hunter, 45, has lived on Saipan since childhood and is accustomed to strong storms. "We are in typhoon alley," he wrote, but added this is the worst he's experienced.

Power went out the previous afternoon and Hunter was bracing for months without electricity or running water. All government offices and schools shut down two days ago. A few gas stations ran out of gas by Tuesday evening, he said.

"We knew it was going to be big," he said, "but wow."

Meteorologist Matthew Foster in Honolulu said Yutu is moving quickly enough that the main concern will be the strong winds, not huge amounts of rain that have been associated with other recent hurricanes.

"It's a very powerful storm," Foster said. "It's going to be more of a wind damage threat versus rain."

A super typhoon would be the equivalent of a Category 4 or 5 hurricane.

The Northern Marianas are about 3,800 miles (6,115 kilometers) west of Hawaii, and have a population of about 55,000 people.

Waves of 25 to 40 feet (6 to 12 meters) are expected around the eye of the storm and flooding is likely, forecasters said.

A typhoon warning was in effect for Saipan, Tinian and Rota and a tropical storm warning was in place for Guam and other southern islands.

XS
SM
MD
LG