The strongest tropical cyclone of the year has slammed into the central Philippines after President Benigno Aquino ordered mass evacuations to reduce the risk of disaster.
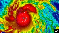
Super Typhoon Haiyan, known as Yolanda in the Philippines, made landfall in Samar province early Friday, with sustained winds of 315 kilometers per hour and gusts of 379 kilometers per hour.
In a national address on Thursday, President Aquino said there is a "very real danger," but he added that "no storm can bring a united Filipino people to its knees."
He warned people to beware of waves as high as six meters in more than 100 coastal areas. He said Philippine military planes, helicopters and vessels are on standby to respond to the storm, and relief supplies have been pre-positioned in areas expected to be affected.
Authorities on Thursday evacuated thousands of people from their homes in vulnerable locations, moving them to safer ground. Schools closed, airlines canceled flights, ferry services stopped and fishermen were ordered to secure their vessels.
International relief agencies said about 10 million people in the Philippines face disruption from the typhoon. It is not expected to have a major impact on the capital, Manila, far to the north.
One area of concern is the central Philippine island of Bohol, where more than 200 people were killed in a 7.2 magnitude earthquake last month. Bohol is not expected to take a direct hit, but the storm is likely to add to the misery of thousands of displaced people forced to stay in shelters.
Residents like Grace Macion said they will not be taken by surprise when the storm hits.
"We are scared, whenever November or December come around, because we have already experienced strong typhoons before," said Macion.
Philippine meteorologists warn that Haiyan could be more dangerous than last year's Typhoon Bopha, which killed at least 1,100 people on the southern island of Mindanao. Bopha was the world's most powerful storm of 2012.
The Philippines is vulnerable to severe flooding caused by heavy rains and tsunamis. It is hit by about 20 tropical cyclones each year.
Typhoon Haiyan is expected to take aim at central Vietnam after it passes over the Philippines and enters the South China Sea.
Super Typhoon Haiyan, known as Yolanda in the Philippines, made landfall in Samar province early Friday, with sustained winds of 315 kilometers per hour and gusts of 379 kilometers per hour.
In a national address on Thursday, President Aquino said there is a "very real danger," but he added that "no storm can bring a united Filipino people to its knees."
He warned people to beware of waves as high as six meters in more than 100 coastal areas. He said Philippine military planes, helicopters and vessels are on standby to respond to the storm, and relief supplies have been pre-positioned in areas expected to be affected.
Authorities on Thursday evacuated thousands of people from their homes in vulnerable locations, moving them to safer ground. Schools closed, airlines canceled flights, ferry services stopped and fishermen were ordered to secure their vessels.
International relief agencies said about 10 million people in the Philippines face disruption from the typhoon. It is not expected to have a major impact on the capital, Manila, far to the north.
One area of concern is the central Philippine island of Bohol, where more than 200 people were killed in a 7.2 magnitude earthquake last month. Bohol is not expected to take a direct hit, but the storm is likely to add to the misery of thousands of displaced people forced to stay in shelters.
Courtesy of the Central Weather Bureau, Taiwan.
Residents like Grace Macion said they will not be taken by surprise when the storm hits.
"We are scared, whenever November or December come around, because we have already experienced strong typhoons before," said Macion.
Philippine meteorologists warn that Haiyan could be more dangerous than last year's Typhoon Bopha, which killed at least 1,100 people on the southern island of Mindanao. Bopha was the world's most powerful storm of 2012.
The Philippines is vulnerable to severe flooding caused by heavy rains and tsunamis. It is hit by about 20 tropical cyclones each year.
Typhoon Haiyan is expected to take aim at central Vietnam after it passes over the Philippines and enters the South China Sea.