Accessibility links

Breaking News
USA

Saipan Has No Water, Electricity in Typhoon Aftermath


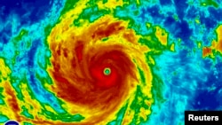
Super Typhoon Soudelor is seen in an enhanced infrared NOAA satellite image taken in the Western Pacific Ocean at 08:32 ET (12:32 GMT) August 4, 2015.
Super Typhoon Soudelor is seen in an enhanced infrared NOAA satellite image taken in the Western Pacific Ocean at 08:32 ET (12:32 GMT) August 4, 2015.

Residents of Saipan were without water and electricity and were rationing gasoline four days after Typhoon Soudelor hit the most populated island in the U.S. territory of the Northern Marianas.

The typhoon hit Saipan in the Commonwealth of the Northern Mariana Islands on Sunday, knocking out electricity on the 48-square-mile island. About 50,000 people live on the commonwealth's four populated islands, with most of them living on Saipan, which took the brunt of the storm.

Nearby Tinian got some damage, while Rota was spared, said Gregorio Kilili Camcacho Sablan, the commonwealth's delegate to U.S. Congress. As for Pagan, "No idea,'' he said. "I have no way to contact Pagan.''

Ten generators were being shipped from Guam to power water pumps in Saipan, but the harbor was closed Thursday because of a listing boat that was half underwater, Sablan said. Restoring power could take a month or two, he said.

"I haven't seen a storm like this in 20 years,'' Sablan said. "Unfortunately, the resources we have are hardly enough to get things up.''

The storm battered the island with wind speeds between 100 mph and 120 mph when it hit Sunday night, the National Weather Service said. The eye of the typhoon was moving west, heading to Taiwan. It was about 740 miles east-southeast of Taipei on Thursday, the National Weather Service said.

In an area that's used to typhoons, Sablan said he and others were expecting it to pass with maybe 80-mph winds.

Widespread damage

But the typhoon was significantly more powerful and devastated the island, toppling homes and snapping wooden electricity poles, said Glen Hunter, who has lived on Saipan for 40 years and owns a cafe.

"A lot of the damage is widespread,'' he said. "Big swatches of places where houses were just devastated, side by side.''

He described watching neighbors cobble together makeshift shelters so "they can huddle together.''

That there were no reports of deaths or serious injury "seems almost impossible,'' Hunter said.

More than 500 people on Saipan were in shelters, the Red Cross said. Part of a disaster relief team arrived Thursday, said Krislyn Yano, a spokeswoman for the Red Cross in Hawaii. Some volunteers from Guam and the U.S. mainland are standing by to assist.

There had been a $20-per-vehicle limit on buying gasoline, which meant motorists could buy only about four gallons, Hunter said, noting that some easily burned through the limit while waiting in long lines at the pumps. On Thursday, that limit was increased to $50, Sablan said.

Disaster assistance requested

Gov. Eloy Inos was on vacation visiting his children on the U.S. mainland, Sablan said. "He's doing everything he can to come back home. ... He's very anxious,'' Sablan said.

But Sablan said he told Inos to stay put: "Just remain there. Things here aren't necessarily working.''

Lt. Gov. Ralph Torres, who is acting governor, sent a letter to the White House requesting emergency disaster assistance from the Federal Emergency Management Agency.

"I am in contact with senior officials at the White House,'' Sablan said. "They have red-flagged this request and are doing everything they can do expedite it.''

Hunter said he was growing frustrated with the lack of aid. "Handouts of any type that you would normally see associated with a natural disaster have been nonexistent,'' he said.

But by Thursday morning, he said he was feeling hopeful.

"I'm banking on as the sun rises today, and as the day starts out, some of those relief efforts will start falling into place,'' Hunter said.

XS
SM
MD
LG