2012 was a year of extreme weather: massive floods, torrential rains, a super-typhoon and record drought. These and other extreme weather events were consistent with what most scientists predict will be the “new normal” as the world’s climate continues to change.
2012 Brings Public Focus on Climate Change
5
Extreme drought conditions in the United States sparked more and extensive wild fires, like this one in Missouri’s Mark Twain National Forest, July 2012. (U.S. Forest Service)
6
Corn plants weakened by the drought lie on the ground after being knocked over by rain in Bennington, Nebraska. The U.S. Drought Monitor said the rainfall came too late to help already damaged corn crops, September 2012.
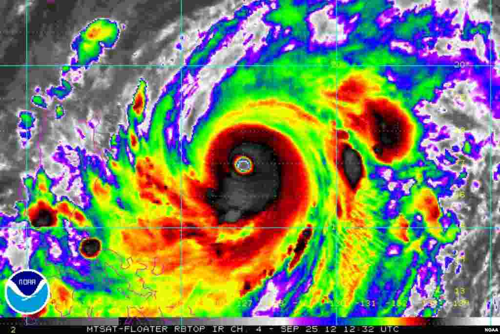
7
Super Typhoon Jelawat made landfall over Japan and affected the Korean peninsula with heavy rains and floods, September 2012.
8
For the third consecutive year, monsoon floods hit Pakistan's Sindh and Balochistan provinces, damaging more than 450,000 hectares of agricultural land. Almost 400,000 houses were partially or completely destroyed, September 2012. (Jean-Luc Siblot)